ବାତ୍ୟାର ଭୟ

Advertisment

ଦର୍ପଣ

ଦର୍ପଣ

ବାତ୍ୟାର ଭୟ

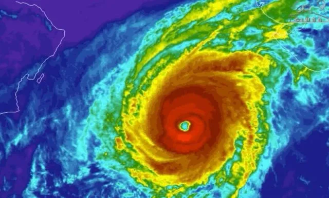
ଗଲା ଦଶ ବର୍ଷ ଭିତରେ ଉଭୟ ବଙ୍ଗୋପସାଗର ଏବଂ ଆରବ ସାଗରରେ ସୃଷ୍ଟି ହେଉଥିବା ବାତ୍ୟା‌ ଓ ଭୀଷଣ ତଥା ଅତି ଭୀଷଣ ବାତ୍ୟା ସଂଖ୍ୟାରେ ୧୧% ବୃଦ୍ଧି ଘଟିଥିବା ବେଳେ ଗଲା ପାଞ୍ଚ ବର୍ଷରେ ଏହି ବୃଦ୍ଧିର ହାର ହେଉଛି ୩୨%। ବିଶ୍ବ ଉତ୍ତପ୍ତୀକରଣ ଜନିତ ପ୍ରାକୃତିକ ଦୁର୍ବିପାକର ଏହା ହେଉଛି ଏକ ପ୍ରମାଣ ଏବଂ ଭବିଷ୍ୟତ୍‌ର ପରିଣାମ ଲାଗି ଏକ ସତର୍କ ଘଣ୍ଟି।

ପାଣିପାଗ ବିଭାଗ ସୂତ୍ରରୁ ଜଣାପଡ଼ିଛି ଯେ ଗୋଟିକ ପରେ ଗୋଟିଏ ବାତ୍ୟା ଆସିବାର କ୍ରମ ଏବେ ଆରମ୍ଭ ହୋଇଛି। ୨୦୧୮ ଏବଂ ୨୦୧୯ରେ ୭ଟି ଲେଖାଏଁ ବାତ୍ୟା ଆମ ଉପକୂଳ ଛୁଇଁଥିଲା, ଯାହା ୧୯୮୫ ଠାରୁ ଏ ଯାବତ୍‌ ସର୍ବାଧିକ। ସେହି ୧୪ଟି ବାତ୍ୟାରୁ ୧୨ଟି ଥିଲା ଭୀଷଣ ବାତ୍ୟା, ଯେଉଁ ସଂଖ୍ୟା ୧୯୭୬ରୁ ଏ ଯାବତ୍‌ ସର୍ବାଧିକ। ଚଳିତ ବର୍ଷ ମେ ମାସରେ ‘ଫଣୀ’ ନାମକ ଏକ ଅତି ଭୀଷଣ ବାତ୍ୟା ଓଡ଼ିଶାର ଉପକୂଳକୁ ବିଧ୍ବସ୍ତ କରି ଦେଇଥିବା ବେଳେ ‘ବାୟୁ’ ନାମକ ଏକ ବାତ୍ୟାର ପ୍ରଭାବରେ ଭାରତକୁ ମୌସୁମୀ ଆସିବ‌ାରେ ବିଳମ୍ବ ହୋଇଥିଲା। ପୁଣି ନିକଟରେ ‘ବୁଲବୁଲ୍‌’ ଦ୍ବାରା ରାଜ୍ୟର ଉତ୍ତର ଉପକୂଳ ପ୍ରଚୁର କ୍ଷତିଗ୍ରସ୍ତ ହୋଇଛି। ଦଶନ୍ଧିରେ ପ୍ରତି ବର୍ଷ ହାରାହାରି ୪ଟି ବାତ୍ୟା ଭାରତର ଉପକୂଳରେ ତାଣ୍ଡବ ରଚନା କରୁଛି। ଗଲା କୋଡ଼ିଏ ବର୍ଷ ଧରି ପ୍ରତି ବର୍ଷ ହାରାହାରି ତିନିଟି ବାତ୍ୟା‌ ଦେଖିବାକୁ ମିଳୁଥିଲା। ପାଣିପାଗ ବିଭାଗ ପକ୍ଷରୁ କୁହାଯାଇଛି ଯେ ଏଭଳି ବାତ୍ୟା‌ ସଂଖ୍ୟା ଭବିଷ୍ୟତ୍‌ରେ ବଢ଼ିବ ସିନା, କମିବାର ଆଶା କମ୍‌।

ସମ୍ବନ୍ଧୀୟ ପ୍ରବନ୍ଧଗୁଡ଼ିକ
Here are a few more articles:
ପରବର୍ତ୍ତୀ ପ୍ରବନ୍ଧ ପ Read ଼ନ୍ତୁ
Subscribe